| 価格 | 580万円 ![]() |
||||
|---|---|---|---|---|---|
| 所在地 | 千葉県旭市江ケ崎
この地域周辺の物件を見る |
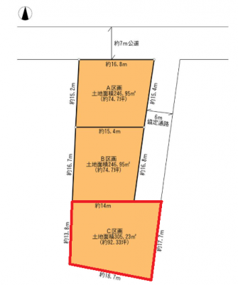
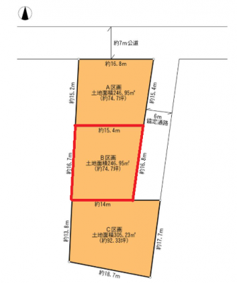
土地面積 | 246.95m² (公簿) (74.7坪) | 坪単価 | 7.76万円 /坪 |
| 交通 | JR総武本線 旭/徒歩27分
|
建ぺい率 | 60 % | 容積率 | 200 % |
電話をかける(携帯・PHS可)
0479-75-4570
「ホームページを見た」とお伝え下さい。
お問い合わせ番号をお伝えください
RHS-100138132979
| 特徴 |
|
|---|---|
| セールスコメント | ●住宅ローンに自信あります! 住宅ローン通過実績多数。転職したばかり、年収が低い、頭金0、自営業、派遣、パートの方、他の借り入れがある方、ご相談ください。ホームページで住宅ローン裏話が読めます。 |
| 建築条件 | 無 | 土地権利 | 所有権 |
|---|---|---|---|
| 現況/引渡し | 更地/相談 | 接道状況 | 接道: 東 16.8m 私道 道路幅: 6m |
| 私道負担面積 | - | セットバック | なし |
| 地勢 | 平坦 | 地目 | 山林 |
| 用途地域 | 指定なし | 都市計画 | 非線引き |
| 法令上の制限 | - | 国土法届出 | 不要 |
| 取引態様 | 仲介 | ||
| 情報更新日 | 2026年04月06日 | 次回更新日 | 2026年04月20日 |
| 小学校区 | 旭市立琴田小学校 (千葉県旭市) この学区の他の物件を見る |
中学校区 | 第二中学校 (千葉県旭市) この学区の他の物件を見る |
|---|
電話をかける(携帯・PHS可)
0479-75-4570
「ホームページを見た」とお伝え下さい。
お問い合わせ番号をお伝えください
RHS-100138132979
| 年利率 | % |
||
|---|---|---|---|
| ボーナス払い | 返済年数 | ||
| 頭金 | 直接入力する | 万円 | |
| 建築プラン例 | |||

毎月のご返済額 |
ボーナス(×年2回) |
物件価格580万円 |
ご返済額(建築費用込) |
建築費用 |
物件価格(建築費用込) |
![]() |
![]() |
旭市江ケ崎
580万円〜980万円 |
電話でお問い合わせ
おひさま不動産 多古町本店
|
電話をかける 0479-75-4570 ※「ホームページを見た」とお伝えください。 |
お問い合わせ番号をお伝えください RHS-100138132979 |
|---|
落ち着いた住環境が魅力の旭市江ヶ崎エリア!
生活利便施設にもアクセスしやすく、暮らしやすい立地です!
ゆとりある敷地で、のびのびとした生活が叶います!